![]()
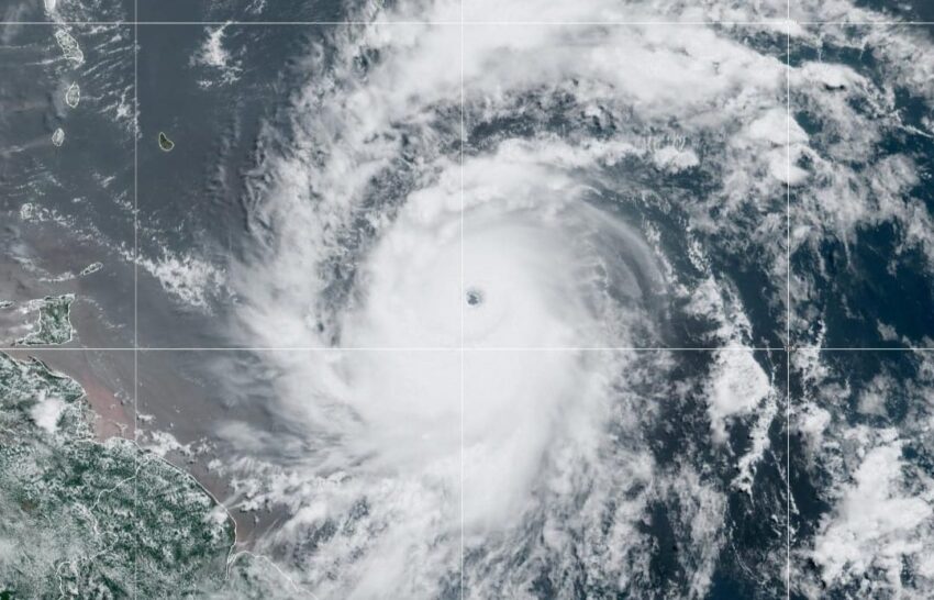
La Oficina Nacional de Meteorología (ONAMET) informó este lunes que Beryl ha descendido a la categoría 3, siendo aún un poderoso huracán mayor, localizándose en la latitud 11.7 norte y longitud 60.2 oeste, esto es, a unos 165 kilómetros al sur/suroeste de Barbados, Antillas Menores.
Este fenómeno tiene vientos máximos sostenidos de 195 kilómetros por hora y se desplaza hacia el oeste a unos 31 kilómetros por hora.
La entidad sostuvo que es importante mantenerse atentos a la evolución y desarrollo de Beryl a través de los boletines emitidos por este Centro Nacional de Pronóstico.
No obstante, algunos chubascos aislados podrían presentarse en horas de la tarde hacia los sistemas montañosos y la llanura oriental, debido a los efectos locales de calentamiento diurno y orográfico.
En horas de la noche el oleaje comenzará a incrementarse de manera significativa, debido al acercamiento de huracán Beryl, recomendamos mantenerse atentos a los boletines de esta ONAMET.

