![]()
Hoy 30 de noviembre la temporada ciclónica 2024 finaliza de manera oficial para el Atlántico Norte, Golfo de México y Mar Caribe.
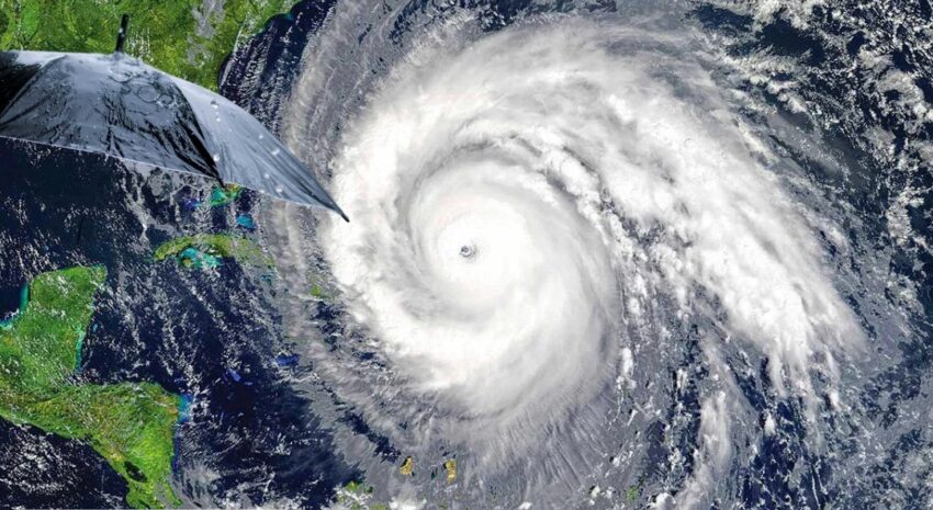
Durante la misma, la cantidad de ciclones tropicales nombrados que se formaron, supero los promedios históricos, registrándose 18 tormentas tropicales, de las que 11 alcanzaron la categoría de huracán.
Entre estos 11 huracanes, 5 fueron intensos (categoría 3, 4 o 5 en la escala Saffir&Simpson). Para la República Dominicana, solo tuvimos efectos indirectos del huracán Beryl a su paso al sur del país, el día 2 de julio.
Para las horas matutinas se prevé nubes dispersas en la mayor parte del territorio y solo incrementos nubosos aislados dejaría lluvias débiles y de corta duración en provincias como: La Altagracia, Hato Mayor, El Seibo y San Cristóbal. Después del mediodía, debido a los efectos del ciclo diurno y una vaguada al noroeste de nuestro territorio, estaremos observando algunos incrementos de la nubosidad que dejaran aguaceros dispersos y tronadas aisladas en provincias como: La Altagracia, El Seibo, Hato Mayor, San Pedro de Macorís, Sánchez Ramírez, La Vega, Monseñor Nouel, Santiago, Azua, San Juan, Elías Pina y Dajabon.
Fuente: Indomet

